Быстрый поиск обьекта по ID или номеру телефона

Введите ID или телефон

Проверить телефон посредника

Введите телефон:

Корисна інформація

Посмотреть все »
>>Купить Дом, коротыч, харьковская область

Дом, коротыч, харьковская область

953 000 грн. ($22 700)

В продаже


  • дом, Коротыч, Харьковская область
  • дом, Коротыч, Харьковская область
  • дом, Коротыч, Харьковская область
  • дом, Коротыч, Харьковская область
  • дом, Коротыч, Харьковская область
  • дом, Коротыч, Харьковская область
  • дом, Коротыч, Харьковская область
Описание
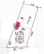
ID4342641Тип домаДом
Адрес-Общая площадь67
Часть дома1Площадь участка, сот15
Количество комнат3Газ+
Этажность-ВодаКолодец
КанализацияЯмаУдаленность от города, км10
Цена, грн953000Другие объекты
в этом районе:
Коротыч, Люботинское направление, Харьковский район
Продам дом в Коротыче 67 м2, 3 жилых комнаты, все удобства, новое отопление, вода-скважина (автоматическая подача воды в дом), мпо, погреб, есть заезд для машины, хоз постройки участок 15 соток. Рядом магазины. 15 минут пешком до остановки транспорта.
Похожие объекты

Недвижимость Харькова